Overview
Allen County GIS Data – For CAD
Equator helps civil engineering, architecture and consulting firms with the tools to instantly find, process and download accurate LiDAR, contours, parcel data, building footprints, DEMs, point clouds and other GIS data for Allen County in an online web mapping portal.
Allen County GIS Data →

Data Available
Download GIS Data for Allen County

Parcels and Buildings
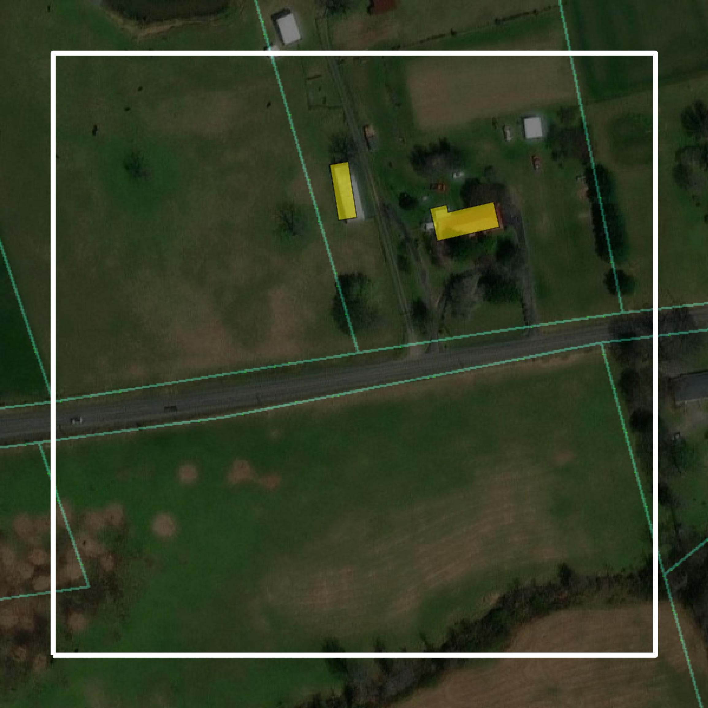
This image shows parcel and building data in Allen County created using GIS data in Equator.
Get Parcels and Buildings for Allen County
LiDAR
This image shows a LiDAR point cloud in Allen County created using GIS data in Equator.
Get LiDAR for Allen County
Contours
This image shows a contour map in Allen County created using GIS data in Equator.
Get Contours for Allen CountyFormats Available
Export Your Data Ready to Use in Multiple Formats
DWG
AutoCAD Drawing - Industry-standard CAD format
Supported Data:
Contour, Parcel, Building Outline
SHP
Shapefile - Standard GIS vector format
Supported Data:
Contour, Parcel, Building Outline
DXF
Drawing Exchange Format - Universal CAD interchange
Supported Data:
Contour, Building Outline
GeoJSON
Geographic JSON - Web-friendly spatial data format
Supported Data:
Contour, Parcel, Building Outline
LAZ
Compressed LAS - Efficient LiDAR point cloud format
Supported Data:
Point Cloud
SVG
Scalable Vector Graphics - Web vector format
Supported Data:
Contour, Building Outline
GPKG (Coming Soon)
GeoPackage - Modern OGC spatial database format
Supported Data:
Contour, Parcel, Building Outline
LandXML (Coming Soon)
Land XML - Civil engineering data exchange format
Supported Data:
Point Cloud
TIN (Coming Soon)
Triangulated Irregular Network - 3D surface model
Supported Data:
Point Cloud
XYZ (Coming Soon)
XYZ Point Cloud - Simple ASCII point cloud format
Supported Data:
Point Cloud
Showcase
Sample GIS Data for Allen County
Parcels and Buildings
Parcel and building data in Allen County are used in a variety of fields including architecture, real estate, and urban planning.
Get Parcels and Buildings for Allen County
LiDAR
Point clouds (LiDAR) in Allen County can produce highly accurate 3D models of terrain, structures, and vegetation.
Get LiDAR for Allen County
Contours
Contours in Allen County visualize 3D elevations on a 2D surface allowing you to better understand your site.
Get Contours for Allen County